Building lot for sale in Moorslede

Building lot for sale in Moorslede

€268,500
Menensesteenweg 0, 8890 Moorslede
Building lot for sale in Moorslede

General

ImmoMaps code: ZFJ6RV
Report listing

Total surface area

-

Available

-

Description

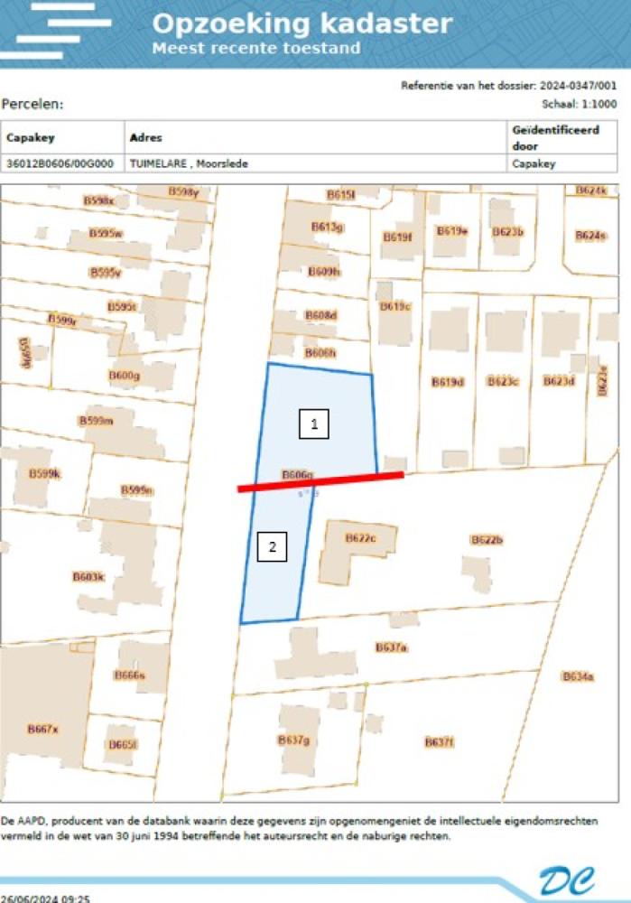
Dit ruime perceel (aangeduid met cijfer 1 op foto 4) is gelegen in Moorslede, langs de verbindingsweg tussen Roeselare en Menen, op korte afstand van Beitem. Het biedt diverse bebouwingsmogelijkheden. Voor bouwvoorschriften kan je terecht bij de dienst Omgeving van de gemeente Moorslede via omgevingsloket@moorslede.be of 051 78 89 14.

Ligging: Menensesteenweg - 8890 MOORSLEDE
Perceel: MOORSLEDE 1 AFD/MOORSLEDE/ B 0606/00G000.
Perceelbreedte: +- 37m. 
Oppervlakte: +- 1.290m².
P-score: A.
G-score: A.
Vraagprijs: 268.500 euro

Voor meer info en/of afspraak voor pandbezoek, contacteer Laurens op M 0493 91 45 58 of via E laurens@devastgoedlink.be

Properties

  • Status Available

Financial

Asked price excluding registration fees, notary fees and possible VAT.
  • Price €268,500
  • Cadastral income -

Administrative

  • Urban planning permit -
  • Urban development destination -
  • Subpoena -
  • priority purchase right -
  • Subdivision permit -
  • Protected heritage -
  • Flood zone type Unknown

More listings from De Vastgoedlink

All real estate
Get in touch