Huis te koop in Mariakerke

Huis te koop in Mariakerke

€ 365.000
Damstraat 41, 9030 Mariakerke
Huis te koop in Mariakerke

Algemeen

ImmoMaps code: 1ACXFA
Zoekertje rapporteren

Bewoonbare oppervlakte

181 m2

Grondoppervlakte

569 m2

Slaapkamers

3

Badkamers

1

Parkeerplaatsen

-

Bouwjaar

1953

Gemeubeld

-

Beschikbaar

-

Beschrijving

In de rustige en aangename Damstraat in Mariakerke vindt u deze woning met enorm veel potentieel. Deze halfopen bebouwing biedt u de kans om uw eigen woonst volledig naar smaak te renoveren en om te toveren tot een gezellige gezinswoning.

Bij het betreden van de woning komt u via de inkomhal in de lichtrijke woon- en eetkamer. Vervolgens betreedt u de keuken die ook toegang biedt tot een kelder. Daarnaast is er ook een ruimte bijkeuken en een gastentoilet. Achteraan de woning ontdekt u een grote tuin, perfect om in alle rust te genieten. Op de eerste verdieping bevinden zich 3 slaapkamers, een badkamer en een kamer die als bureau of dressing gebruikt kan worden. De ruime zolder beschikt over een vaste trap en biedt nog heel wat mogelijkheden. Daarnaast beschikt de woning ook over een garage met aparte bergruimte.

De ligging is een extra troef: de woning bevindt zich in een rustige buurt, met vlotte verbindingen naar Gent en omgeving. Winkels, scholen en openbaar vervoer liggen op korte afstand, waardoor dit een ideale plek is voor gezinnen die rustig willen wonen met alle voorzieningen binnen handbereik.

Kortom: deze woning biedt u een unieke kans om uw droomhuis te realiseren in een aantrekkelijke buurt. Wens je een bezoek in te plannen? Contacteer Laura via 0492 07 26 62

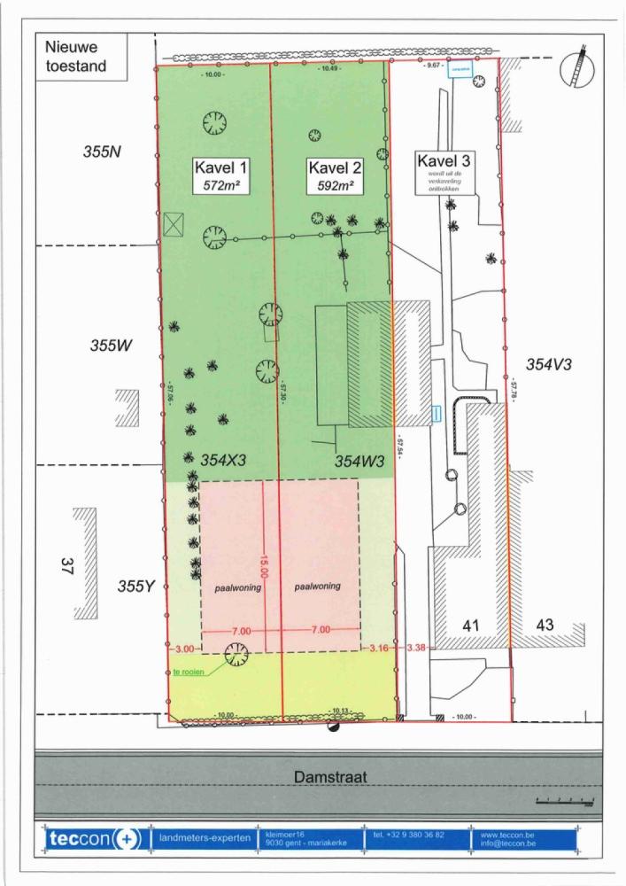
Op het grondplan (zie foto) betreft dit kavel 3.


------

In de rustige en aangename Damstraat in Mariakerke vindt u deze woning met enorm veel potentieel. Deze halfopen bebouwing biedt u de kans om uw eigen woonst volledig naar smaak te renoveren en om te toveren tot een gezellige gezinswoning.

Bij het betreden van de woning komt u via de inkomhal in de lichtrijke woon- en eetkamer. Vervolgens betreedt u de keuken die ook toegang biedt tot een kelder. Daarnaast is er ook een ruimte bijkeuken en een gastentoilet. Achteraan de woning ontdekt u een grote tuin, perfect om in alle rust te genieten. Op de eerste verdieping bevinden zich 3 slaapkamers, een badkamer en een kamer die als bureau of dressing gebruikt kan worden. De ruime zolder beschikt over een vaste trap en biedt nog heel wat mogelijkheden. Daarnaast beschikt de woning ook over een garage met aparte bergruimte.

De ligging is een extra troef: de woning bevindt zich in een rustige buurt, met vlotte verbindingen naar Gent en omgeving. Winkels, scholen en openbaar vervoer liggen op korte afstand, waardoor dit een ideale plek is voor gezinnen die rustig willen wonen met alle voorzieningen binnen handbereik.

Kortom: deze woning biedt u een unieke kans om uw droomhuis te realiseren in een aantrekkelijke buurt. Wens je een bezoek in te plannen? Contacteer Laura via 0492 07 26 62

Op het grondplan (zie foto) betreft dit kavel 3.
Meer weergeven

Eigenschappen

  • Bewoonbare oppervlakte 181 m²
  • Grondoppervlakte 569 m²
  • Slaapkamers 3
  • Badkamers 1
  • Toiletten 1
  • Te renoveren Ja
  • Bouwjaar 1953
  • Type bebouwing Halfopen bebouwing
  • Status Beschikbaar

Financieel

Vraagprijs excl. verkooprechten, notariskosten en eventuele btw.
  • Prijs € 365.000
  • Kadastraal inkomen -

Administratief

  • Stedenbouwkundige vergunning Ja
  • Stedenbouwkundige bestemming Woongebied (Wg)
  • Dagvaarding Neen
  • Voorkooprecht Ja
  • Verkavelingsvergunning -
  • Beschermd erfgoed Neen
  • Overstroming zonetype Effectief overstromingsgevoelig

Energie

  • Energie score 615 kWh / (m²jaar)
  • E-peil 0
  • Certificaat nummer 20230826-0002971363-RES-1
  • Type verwarming -
  • Zonnepanelen Neen
  • Elektrische keuring beschikbaar Ja, niet conform

Meer vastgoed van Convas

Alle vastgoed
Neem contact op